Vendita Negozio Almenno San Bartolomeo | Chicercacasa.it
Cerita negozio/ufficio 95 mq.

149.000,0

Vendita Negozio Almenno San Bartolomeo

indirizzo riservato, Almenno San Bartolomeo

Descrizione

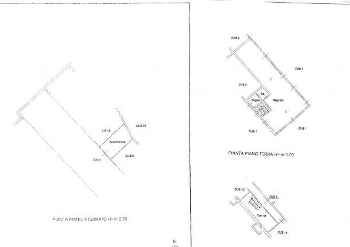
Per investitori : vendesi luminoso negozio/ufficio di 95 mq open space con ampie vetrine, dotato di magazzinetto interrato e autorimessa, servito da ampio parcheggio. Attualmente locato ad ottimo inquilino.

 

Dettagli

Classe Energetica
G
IPE
91,34 kW/mc
Mq
102
Alt. sotto trave
0.00
Area Esterna
0
Licenza
-
Parcheggi priv.
-
Parcheggi pubb.
-
Importo Affitto
0
Incasso
-
Tipo Incasso
-
Rich. Valore
-
Locali
2
Tipo proprietà
Intera proprietà

Pedruzzi immobiliare

Email: [email protected] - Telefono: +39035271326

Indirizzo

Bergamo, Viale Albini

Sito Web

Pedruzzi immobiliare

DAL 1968. Più di 45 anni di esperienza nel settore immobiliare garantiscono competenza e professionalità ai servizi offerti dal nostro studio, sia in ambito commerciale che consulenziale: promozione vendite e intermediazioni, stime e valutazioni, stesura contratti, locazione e gestione d'immobili. Un'assistenza seria e qualificata per ogni vostra esigenza in ambito immobiliare.

Orari di apertura

non presenti.

2ALTRIANNUNCISIMILI

50.000

Ponte San Pietro

 

Trilocale Ris...

TRILOCALE RISTRUTTURATO In zone centralissima vicino piazzale Chiesa e UBI Banca proponiamo completamente ristrutturato Trilocale composto d

mq. 95 locali 3

STUDIO IMMOBILIARE CORTIN…

50.000

Ponte San Pietro

 

Trilocale Ris...

TRILOCALE RISTRUTTURATO In zone centralissima vicino piazzale Chiesa e UBI Banca proponiamo completamente ristrutturato Trilocale composto d

mq. 95 locali 3

STUDIO IMMOBILIARE CORTIN…

chicercacasa
quilatrova