Vendita Villa Singola Oggiono | Chicercacasa.it
Villa singola

240.000

Vendita Villa Singola Oggiono

via Piave, Oggiono

Descrizione

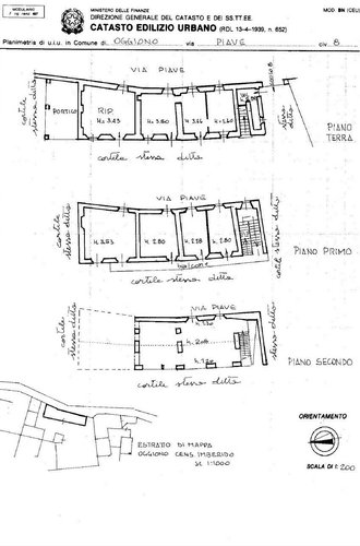
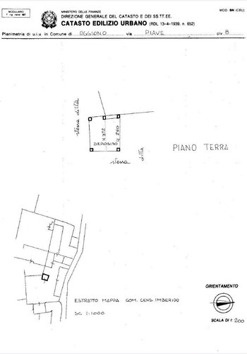
Oggiono - località imberido, in posizione centrale, proponiamo antica cascina da ristrutturare, composta da un grande fabbricato principale, libero su 4 lati e due fabbricati indipendenti terra/cielo liberi su 2 lati, per un totale di circa 500 mq oltre a porticati per circa 50 mq e godibile area esterna in proprietà esclusiva di circa 600 mq. Ideale per più nuclei famigliari (es. Genitori e figli) con la possibilità, grazie alle porzioni indipendenti tra loro, di affiancare all'abitazione principale un'attività di casa vacanze - b&b. Questa descrizione ha valore puramente indicativo e non costituisce elemento contrattuale. Per info: edilcasa lecco via sassi 40 – tel. 0341/353096 - potete contattarci anche tramite "whatsapp" inserendo il n. 0341353096 nei vostri contatti! email: [email protected] – www.edilcasalecco.it<br><br>l'ufficio edilcasa si trova a lecco in via s. Sassi, 40 – angolo via cattaneo (centro città, nelle vicinanze della stazione fs), è aperto dal lunedì al venerdì negli orari 9:00 – 12:30 e 14:30 – 19:30, il sabato dalle 9:00 alle 12:30. Professionalità, serietà, dinamicità e grande conoscenza del territorio sono la base dell'attività dell’agenzia edilcasa di lecco, con un costante investimento nei migliori mezzi pubblicitari disponibili oggi nel settore immobiliare.

 

Dettagli

Tipologia
Villa singola
Mq
500
Soffitta
Non specificato
Bagni
0
Balconi
0
Box
-
Arredamento
Non presente
Spese cond.
-
Num.posti auto
0
Piano
0
Camere da letto
0
Giardino
Si, Privato
Ascensore
Non specificato
Riscaldamento
Assente
Locali
15
Tipo proprietà
Non specificato
Stato
Da ristrutturare
Vendita/affitto
Vendita
Terrazzo
No
Cucina
Non specificato
N.Piani Edificio
0
Portineria
Si
Classe Energetica
A+
IPE
0 kW/mc

EDILCASA Immobiliare

Email: [email protected] - Telefono: 0341353096

Indirizzo

via S.Sassi 40

Sito Web

EDILCASA Immobiliare

Orari di apertura

non presenti.

4ALTRIANNUNCISIMILI

17.000

Lecco

Belledo

Box Singoli A...

LECCO Belledo - Inseriti in contesto condominiale, proponiamo box singoli di circa 14 mq La richiesta per il box singolo è pari ad Euro 17.

mq. 14 locali -

IMMOBILIARE NEROSUBIANCO

17.000

Lecco

Belledo

Box Singoli A...

LECCO Belledo - Inseriti in contesto condominiale, proponiamo box singoli di circa 14 mq La richiesta per il box singolo è pari ad Euro 17.

mq. 14 locali -

IMMOBILIARE NEROSUBIANCO

17.000

Lecco

Belledo

Box Singoli A...

LECCO Belledo - Inseriti in contesto condominiale, proponiamo box singoli di circa 14 mq La richiesta per il box singolo è pari ad Euro 17.

mq. 14 locali -

IMMOBILIARE NEROSUBIANCO

17.000

Lecco

Belledo

Box Singoli A...

LECCO Belledo - Inseriti in contesto condominiale, proponiamo box singoli di circa 14 mq La richiesta per il box singolo è pari ad Euro 17.

mq. 14 locali -

IMMOBILIARE NEROSUBIANCO

chicercacasa
quilatrova